Sỏi Tiết Niệu Chó Mèo: Các Biểu Hiện Thường Gặp
- Người viết: Pet Health lúc
- Các loại bệnh
Sỏi tiết niệu gây ra rất nhiều đau đớn cho chó mèo khi đi vệ sinh. Biểu hiện sỏi tiết niệu ở chó mèo là như thế nào? Bạn cần nắm rõ vấn đề này để kịp thời cứu chữa cho thú cưng. Bài viết này của đội ngũ chuyên gia PetHealth sẽ giúp bạn hiểu rõ hơn về vấn đề này.
Sỏi tiết niệu ở chó mèo là gì?
Sỏi tiết niệu là những khối tinh thể kết tụ một số thành phần trong nước tiểu ở đường niệu trên (chủ yếu từ can-xi). Chó mèo hay bị mắc bệnh này nhiều hơn mèo. Bệnh thường gặp ở chó có độ tuổi từ 3 – 5 tuổi. Nhưng cũng có thể gặp ở chó mèo nhỏ (sỏi bàng quang). Viên sỏi lớn, sần sùi sẽ dễ bám vào niêm mạc và bị vướng lại. Sỏi niệu quản hay bị vướng lại ở các đoạn như sau:
- Đoạn thắt lưng 1/3 trên của niệu quản.
- Đoạn trong chậu hông bé.
- Đoạn nội thành của bàng quang.
- Cổ bàng quang là chỗ hẹp chủ yếu ở chó đực. Ở chó cái, cổ bàng quang có tiền liệt tuyến bao bọc nên sẽ khó qua hơn.
- Trên chó cái niệu đạo không có chỗ hẹp và ngắn hơn nên sỏi ít bị vướng lại hơn. Còn đối với chó đực, niệu đạo có ba chỗ mở rộng ra và viên sỏi hay lọt vào đó.
Xem thêm: Nguyên nhân bị u nang buồng trứng
Biểu hiện sỏi tiết niệt chó mèo
- Dấu hiệu đầu tiên đó chính là khó tiểu. Chó mèo khi bị sỏi tiết niệt khi đi tiểu sẽ chúi người về phía trước khi đi tiểu, dáng lom khom, cong lưng. Nhìn giống như bị táo bón vậy. Chúng còn bị đau vùng bụng, bụng căng cứng.
- Do đường tiểu bất thường nên nước tiểu sẽ bị gián đoạn, ngắt quãng. Có khi tiểu không kiểm soát được. Nước tiểu màu vàng sậm hoặc có màu đỏ vì có máu kèm theo.
- Cơn đau khi đi tiểu sẽ khiến nhiều chú chó khóc vì đau đớn. Dần dần sẽ khiến chúng bị trầm cảm. Trường hợp nặng có thể ngất đi sau mỗi lần rặn tiểu.
- Tuy nhiên cũng có một số trường hợp không có biểu hiện lâm sàng. Và chỉ được phát hiện tình cờ qua kiểm tra sức khỏe định kỳ. Điều này chỉ thường gặp trên chó cái do đường niệu quản lớn và ngắn hơn là trên chó đực.
- Đối với mèo thì chúng sẽ tiểu ít, nhưng đau khiến chúng hay kêu la.
Biểu hiện sỏi tiết niệu ở chó mèo rất dễ nhận biết, chỉ cần bạn chú ý quan sát!
Vì sao chó mèo hay bị sỏi tiết niệu?
Như đã trình bày trong bài viết trước, quá trình hình thành sỏi tiết niệu rất phức tạp, do nhiều yếu tố gây ra. 1 hòn sỏi thường có cấu trúc đặc thù gồm 2 yếu tố:
- Chất mucoprotein có tác dụng như chất keo kết dính các tinh thể với nhau để tạo sỏi.
- Các tinh thể của các chất bình thường được hòa tan trong nước tiểu. Chủ yếu là calci và oxalate. Ngoài ra còn có phosphate, magne, urat, cystine.
Khi nước tiểu bị cô đặc quá mức hoặc khi pH nước tiểu thay đổi thì các chất hòa tan trong nước tiểu sẽ kết tinh lại thành các tinh thể. Và các tinh thể sẽ bị loại trừ theo dòng nước tiểu.
Cần phải có chất mucoprotein thì các tinh thể mới liên kết được với nhau để tạo ra hòn sỏi. Nhiễm trùng tiết niệu dễ gây kết tụ sỏi. Những bất thường ở đường tiết niệu làm chậm hoặc bế tắc dòng nước tiểu dễ gây kết tụ sỏi.
Thức ăn đóng vai trò quan trọng trong việc hình thành những tinh thể sỏi này. Với cách sản xuất thức ăn theo kiểu công nghiệp bằng cách nghiền bột xương sẽ tạo rất nhiều khoáng.
Do đó bạn cần xem kỹ thành phần khi chọn thức ăn cho chó, mèo. Thành phần phụ phẩm lò giết mổ càng nhiều thì xương càng nhiều.
Mời bạn tham khảo bài viết: Yếu Tố Thúc Đẩy Hình Thành Sỏi Tiết Niệu Ở Chó Mèo

Chẩn đoán sỏi tiết niệu ở chó mèo
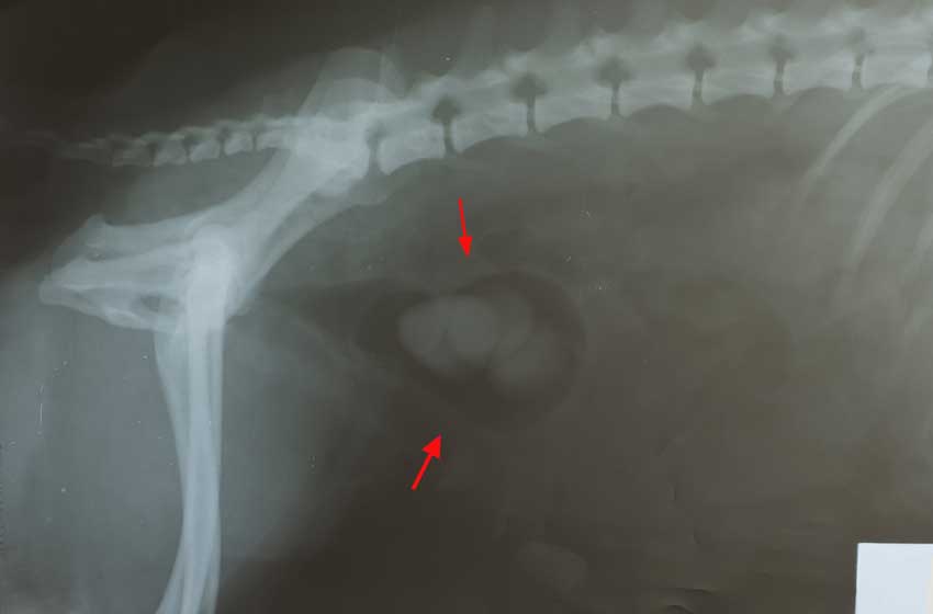
Bác sĩ thú y sẽ cẩn thận cảm nhận bụng thú cưng, xem xét bụng có bị căng cứng. Ngoài các biểu hiện lâm sàng ra, cần phải kết hợp các phương pháp khác như: siêu âm, chụp X-quang đường hệ niệu có cản quang hay không cản quang và xét nghiệm máu, nước tiểu.
Để xác định chính xác số lượng các viên sỏi và vị trí sỏi trên đường tiết niệu, tình trạng nhiễm trùng huyết và đánh giá chức năng của thận. Những chẩn đoán này là rất quan trọng để quyết định phương pháp: điều trị nội khoa hay phải phẫu thuật.
Thông qua xét nghiệm nước tiểu, bác sĩ có thể phân biệt được thú cưng bị sỏi loại gì. Có 5 loại sỏi khác nhau:
- pH nước tiểu > 6: sỏi Uric, Cystinic
- pH =6-7: sỏi oxalic, Phosphacalcic
- pH > 7: sỏi Phospho Amoniac Magne
Một số trường hợp pH < 6 vẫn bị sạn thì phải kết hợp với X-quang, siêu âm để chẩn đoán. Một số thuốc có thể làm hạ pH, nên nếu khi kiểm tra mà pH < 6 nhưng vẫn có nghi ngờ sỏi. Bác sĩ thú y sẽ tiến hành phân tích sỏi.
Trên đây là những chia sẻ từ đội ngũ chuyên gia PetHealth. Hi vọng bài viết sẽ giúp cho bạn có thêm kinh nghiệm trong quá trình nuôi dạy thú cưng.
> Xem thêm các chương trình khuyến mãi tại Bệnh viện thú y PetHealth

